
Arten von Materialschädlingen
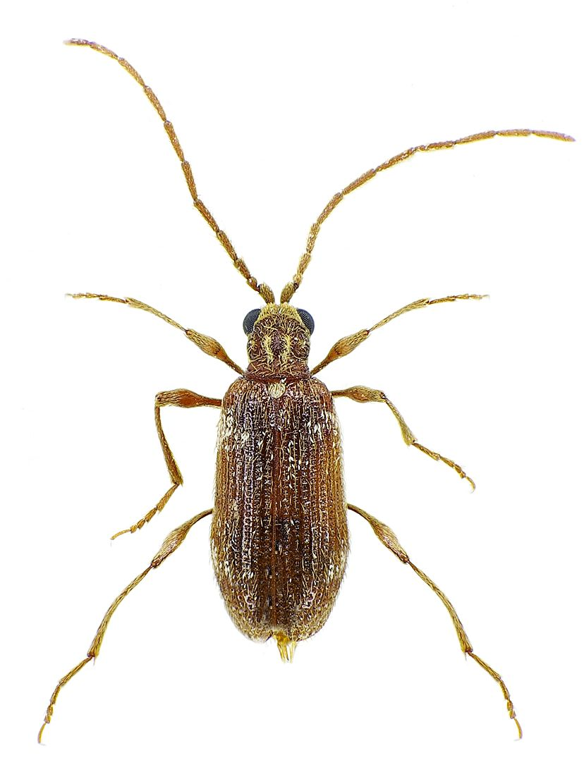
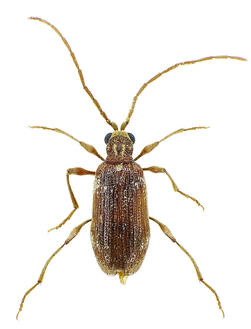
Australischer Diebskäfer
Erkennungsmerkmal:
Der Australische Diebskäfer ist hellbraun bis kastanienbraun gefärbt und 2,5 bis 5 mm groß. Er weist eine am Körper anliegende, goldbraune bis grauweiße Behaarung auf. Auf den kurzen, oval geformten Flügeldecken befinden sich jeweils 10 Längslinien, die aus Punktreihen bestehen. Zwischen den Punktreihen befindet sich jeweils eine Reihe aufrecht stehender Haare.
Lebensweise:
Der Australische Diebskäfer ist flugunfähig, nachtaktiv und sehr lichtscheu. Er versteckt sich im Substrat oder in den angrenzenden Schlupfwinkeln. Meist nimmt der Aufbau des Befalls im Umfeld von geeigneten Vorräten zu, da sich dort die Bruststätten befinden. Die Käfer tolerieren Kälte und Trockenheit, suchen jedoch bevorzugt feuchte Bereiche auf.
Der Australische Diebskäfer kann allerdings auch bei Frost in ungeheizten Lagern überwintern. Sie sind Allesfresser, bevorzugen aber Getreide, organische Produkte und Materialien wie Holz, Heu, Stroh und andere getrocknete Pflanzen. Zudem ernähren sie sich von Fellen, Federn, Knochen, Leder, Mäuse- und Rattenkot und Kadavern.
Durch die adulten Käfer kann es auch zu Loch- und Flächenfraß an Verpackungen, Papier, Büchern und Textilien kommen.
Fortpflanzung:
Die Weibchen legen ca. 100 Eier an der Substratoberfläche ab, wobei sie sich ihren Weg auch durch Sackverpackungen hindurch bahnen. Die Gesamtentwicklung dauert bei 21 Grad ca. 3 Monate. Die Larven fressen in einer kokonartigen Substratkugel. Die fertigen Adulte verbleiben noch bis zu 3 Wochen im Puppenkokon.

Brotkäfer
Erkennungsmerkmale:
Der Brotkäfer ist rostbraun gefärbt und wird bis zu 3 mm lang. Er gehört in die Familie der Nagekäfer. Typisch für ihn ist die Form des Halsschildes, das den Kopf wie eine Kapuze umschließt.
Die Larven sind weiß und verpuppen sich in einem ovalen, aus Nahrungsteilchen gesponnenen Kokon.
Lebensweise:
Der Brotkäfer kann fliegen uns ist sehr aktiv. Im Gegenzug ist seine Nahrungsaufnahme sehr gering. Er hat ein großes Nahrungsspektrum, bevorzugt aber harte, stärkehaltige Produkte wie Backwaren, Teigwaren, Tiertrockenfutter, Schokolade und Gewürzsamen.
Fortpflanzung:
Die Weibchen des Brotkäfers legen ca. Eier. Die Larven erreichen eine Größe von 0,5 bis 5 mm. Die Gesamtentwicklung bei Zimmertemperatur liegt bei ca. 2 bis 3 Monaten.
Die Lebensdauer der adulten Stadien liegt bei 1 bis 2 Monaten.

Gemeiner Speckkäfer
Erkennungsmerkmale:
Der Gemeine Speckkäfer wird als Adult 7 bis 9,5 mm groß und ist an seinen zweifarbigen Flügeldecken gut zu erkennen. Die vordere Hälfte der Flügeldecke ist von gelblichen Haaren bedeckt. Auffällig sind in diesem Bereich die drei schwarze Punkte. Die hintere Hälfte der Flügeldecke ist schwarz.
Lebensweise:
Die Eiablage des Gemeinen Speckkäfers findet in einem geeigneten Substrat statt worin sich die Larven entwickeln. Die Käfer sind nachtaktiv und fliegen in dunkele Bereiche (negativ phototaktisch). Das letzte Larvenstadium verlässt zwischen September und Oktober das Nahrungssubstrat und versucht sich zur Verpuppung in Materialien wie weiches Holz, Kork, Mörtelfugen oder Gipsplatten einzubohren.
Die Käfer und die Larven tolerieren Minustemperaturen über einen längeren Zeitraum.
Die Käfer ernähren sich von Aas, Insektenbrut und toten Insekten.
Die Larven fressen Aas, tierische Produkte, Fleisch, Federn, Leder aber auch Trockenobst oder Nüsse werden von ihnen verzehrt.
Fortpflanzung:
Die Weibchen legen bis zu 150 Eier ab. Die Gesamtentwicklung bei einer Temperatur von 25 Grad liegt bei etwa 1,5 Monaten, bei 15 Grad etwa bei 5 Monaten. in geschützten wärmeren Bauwerken sind maximal 2 Generationen innerhalb eines Jahres möglich.

Getreidekapuziner
Erkennungsmerkmale:
Der Getreidekapuziner hat eine Größe von 2,5 bis 4 mm. Er ist dunkelbraun bis schwarz gefärbt und hat eine zylinderförmige Gestalt. Das Halsschild überragt den Kopf wie eine Kapuze. Die letzten drei Antennenglieder sind stark vergrößert. Die schwach behaarten Flügeldecken sind mit dichten Längsreihen und groben Punkten versehen.
Lebensweise:
Der Getreidekapuziner ist flugfähig und sehr lichtscheu. Bei drohender Austrockung, wenn die Substratfeuchte unter 14 Grad liegt, wird feuchte Nahrung aufgesucht und dabei auch die Scheu vor Licht überwunden. Der Käfer ist sehr wärmeliebend.
Er ernährt sich von harter, stärke- und proteinhaltiger, trockener Nahrung wie Getreide, Reis, Hirse, Hülsenfrüchten, Trockenkartoffeln, Trockenbananen, Hartgebäck und Drogen.
Fortpflanzung:
Die Entwicklung kann nur bei einer Temperatur zwischen 17 bis 38 Grad und einer geeigneten Substratfeuchte stattfinden. Eine Massenvermehrung kann erst ab 23 Grad in feuchter Nahrung stattfinden. Die Weibchen legen täglich 10 Eier ab. Insgesamt können es bis zu 500 Stück werden.
Die Gesamtentwicklung vom Ei bis zum Käfer dauert bei 28 Grad etwa 40 Tage. Die Lebensdauer des Käfers beträgt bis zu einem Jahr.

Kräuterdieb
Erkennungsmerkmale:
Der Kräuterdieb ist bräunlich gefärbt und erreicht eine Größe von bis zu 5 mm. Das Halsschild ist deutlich schmäler als die Flügeldecken und weist zwei Längsverlaufende Erhebungen auf, die von gelblich gefärbten Haaren besetzt sind. Auf den Flügeldecken befinden sich mehrere Längslinien, die aus vielen Punkten zusammengesetzt sind. Die Antennen sind ziemlich lang. Die Männchen können fliegen. Der Körper der flugunfähigen Weibchen ist oval und die Flügeldecken sind deutlich nach oben gewölbt.
Lebensweise:
Der Kräuterdieb ist nachtaktiv und sehr lichtscheu. Er versteckt sich im Substrat oder in den angrenzenden Schlupfwinkeln. Meist nimmt der Aufbau des Befalls im Umfeld von geeigneten Vorräten zu, da sich dort die Bruststätten befinden. Die Käfer tolerieren Kälte und Trockenheit, suchen jedoch bevorzugt feuchte Bereiche auf.
Er kann allerdings auch bei Frost in ungeheizten Lagern überwintern. Sie sind Allesfresser, bevorzugen aber Getreide, organische Produkte und Materialien wie Holz, Heu, Stroh und andere getrocknete Pflanzen. Zudem ernähren sie sich von Fellen, Federn, Knochen, Leder, Mäuse- und Rattenkot und Kadavern.
Durch die adulten Käfer kann es auch zu Loch- und Flächenfraß an Verpackungen, Papier, Büchern und Textilien kommen.
Fortpflanzung:
Die Weibchen legen ca. 100 Eier an der Substratoberfläche ab, wobei sie sich ihren Weg auch durch Sackverpackungen hindurch bahnen. Die Gesamtentwicklung dauert bei 21 Grad ca. 3 Monate. Die Larven fressen in einer kokonartigen Substratkugel. Die fertigen Adulte verbleiben noch bis zu 3 Wochen im Puppenkokon.

Messingkäfer
Erkennungsmerkmale:
Der kugelförmige Messingkäfer erinnert auf den ersten Blick an eine Spinne. Er erreicht eine Körperlänge von 2,6 bis 4,6 mm. Die Flügeldecken des Messingkäfers sind mit dichten, messinggelben Haaren bedeckt. Die Antennen sind recht lang. Der Messingkäfer kann nicht fliegen.
Die Larve ist an ihrem gekrümmten, engerlingsartigen Habitus zu erkennen. Die Eier weisen eine Länge von 0,6 bis 1,0 mm und eine Breite von 0,4 bis 0,6 mm auf.
Lebensweise:
Der Messingkäfer ist nachtaktiv. Wenn er ungestört ist, ist er in der Lage für den Aufbau einer großen Befallstärke in geeigneten Brustätten zu sorgen. Vor allem nach Renovierungen kann es zu einer Massenausbreitung in den Wohnbereichen kommen. Die Eier und Larven verbleiben in den Brutstätten. Die Käfer können eine lange Zeit auf Nahrung verzichten.
Sie ernähren sich von organischen Produkten und Materialien wie Heu, Stroh und anderen getrockneten Pflanzen. Aber auch Samen, Getreideprodukte, Backwaren sowie Felle, Häute, Knochen und Leder gehören zu ihrer Nahrung.
Fortpflanzung:
Pro Weibchen werden ca. 50 Eier an die Substratoberfläche geklebt. Die Larven schlüpfen jahreszeitabhängig, nach etwa 15 Tagen bei 20 Grad, im Winter findet die Diapause statt.
Die Geschlechtsreife ist bei den Messingkäfern nach 4 bis 6 Monaten. Die Gesamtentwicklung dauert unter normalen Temperaturbedingungen etwa 70 Tage. Die Adulte können ca. ein halbes Jahr alt werden.

Pelzkäfer
Erkennungsmerkmale:
Der Pelzkäfer erreicht eine Größe von 5 mm und ist dunkelbraun bis schwarz gefärbt. Am Halsschild befinden sich drei Büschel aus weißen Borsten und auf den Flügeln jeweils ein weißer Fleck.
Die Larven sind gelbbraun, haben eine dichte Behaarung sowie gelbe Schuppen auf der Unterseite.
Lebensweise:
Der Pelzkäfer ist im Freiland oft auf Blüten oder in alten Wespen- und Ameisennestern zu finden. Sie fliegen zur Eiablage in dunkle Bereiche mit geeigneten Substraten.
Die Larven sind lichtscheu.
Die Käfer schlüpfen nach der Überwinterung. Von Herbst bis zum Frühjahr sind sie inaktiv.
Die Larven ernähren sich von keratin- und chitinhalten Substanzen, Haaren, Wolle, Federn, Teppichen, Textilien, Fellen und toten Insekten.
Die ausgewachsenen Käfer ernähren sich von Pollen und Nektar.
Fortpflanzung:
Das Weibchen legt bis zu 100 Eier. Die Gesamtentwicklung dauert unter normalen Temperaturbedingungen 1 bis 3 Jahre.

Speisebohnenkäfer
Erkennungsmerkmale:
Der Speisebohnenkäfer hat eine längsovale Form und sind zwischen 2,5 und 4 mm lang, wobei das Vorderende im Vergleich zum Hinterende etwas zugespitzt erscheint. Die Vorderflügel weisen dunkle Längsbinden auf. Die Oberseite erscheint gelbgrün bis bräunlich, das Hinterleibsende ist gelbrot behaart. Auf der Unterseite weist er eine hellgraue Behaarung auf.
Lebensweise:
Der Speisebohnenkäfer ist flugfähig und fliegt immer zum Licht. Es kann zu einer massiven Vermehrung in Vorratsgütern in Lagern, Maschinentoträumen und Fertigwaren kommen. Er kann das Lager aber auch verlassen und Feldfrüchte befallen. Er befällt Erbsenkulturen im Freiland, ist an gelagerten Erbsen allerdings nicht vermehrungsfähig.
Er ernährt sich von Hülsenfrüchten wie Bohnen, Erbsen und Linsen. Die Adulte nehmen keine Nahrung mehr zu sich.
Fortpflanzung:
Die Weibchen legen bis zu 85 Eier zwischen geernteten oder gelagerten Bohnen ab. Die Eilarve ernährt sich von den Samen. Es können sich bis zu 20 Larven pro Bohne entwickeln. Die Gesamtentwicklung mit 4 Larvenstadien dauert bei 20 Grad etwa 2,5 bis 3 Monate. Unter einer Temperatur von 12 Grad, kann keine Entwicklung stattfinden. Die Lebensdauer beträgt bei Zimmertemperatur etwa 2 bis 3 Wochen, bei kälteren Temperaturen sind es einige Monate.

Tabakkäfer
Erkennungsmerkmale:
Der Tabakkäfer erreicht eine Körperlänge von 4 mm. Die Körperfärbung variiert zwischen braungelb bis braunrot. Der Kopf wird vom Halsschild überdeckt, so wie dies auch bei den anderen Arten der Nagekäfer üblich ist.
Lebensweise:
Der Tabakkäfer fliegt immer in Richtung Licht. Die frisch geschlüpften Larven hingegen sind lichtscheu, bis zu 10 Tage hungerfähig und können über über feinste Ritzen oder Undichtigkeiten der Verpackung in das Produkt wandern.
Die mittleren Larvenstadien wandern, die älteren nicht. Die Larven fressen die eigene Eihülle mit speziellen Hefepilzen und können daher auch Pflanzenerzeugnisse als Nahrung nutzen, die für andere Insekten ungeeignet oder giftig sind.
Die Käfer ernähren sich überwiegend von Tabak, Kräutern, Gewürzen, Arzneidrogen, Baumwollsaaten, aber auch v on Nüssen, Kakaobohnen und Getreideprodukten mit einem Wassergehalt von mindestens 10 Prozent.
Fortpflanzung:
Die Weibchen legen ca. 75 Eier am Substrat ab. Die Entwicklungsdauer mit 4 Lavenstadien ist stark vom Substrat abhängig. Im Schnitt dauert sie bei einer Temperatur von 25 Grad etwa 50 Tage. Unter 15 Grad kann keine Entwicklung stattfinden.
Die Lebensdauer der Käfer liegt bei einem Jahr. Je nach Temperaturbedingungen sind bis zu 3 Generationen in einem Jahr möglich.
Bei Temperaturen von unter 10 Grad sterben die Larven nach spätestens 4 Tagen ab.

Kugelkäfer
Erkennungsmerkmale:
Der Kugelkäfer ist ei- bis tropfenförmig und 2 bis 3,2 mm groß. Er hat einen kugelförmigen Hinterleib. Die Flügeldecken reichen bis zur Bauchseite, die Hinterflügel fehlen. Der Kopf ist nach unten gerichtet und schwach behaart. Die Extremitäten und die Fühler sind dich hellgelb behaart. Sie sind nicht flugfähig.
Die Eier sind 0,5 mm groß und rundoval mit klebriger Oberfläche.
Die Larven sind weißlich, engerlingförmig und hellbraun behaart. Sie haben drei kräftige Beinpaare und die Kopfkapsel ist gelb gefärbt. Die Mundwerkzeuge sind dunkelbraun, die Körperlänge der erwachsenen Larven ist 4,4 mm lang.
Lebensweise:
Die Käfer sind häufig in alten Gebäuden wie Fachwerkhäusern, Brauereien, in organischen Dämmschichten in Zwischendecken, Hohlräumen der Wände oder nach Renovierungsarbeiten zu finden.
Sie ernähren sich von organischen Substanzen pflanzlicher und tierischer Herkunft. Dazu gehören Felle, Häute, Leder, Getreideprodukte, Heu und getrocknete Pflanzen.
Fortpflanzung:
Die Generationsdauer vom Ei bis zum fertigen Käfer dauert ca. 22 bis 42 Wochen, unter optimalen Bedingungen bei 23 bis 25 Grad ca. 100 Tage. Die Eiablage erfolgt einzeln an der Nahrungssubstratoberfläche. Die Larven schlüpfen bei 25 Grad nach 6 Tagen und fressen einen Teil der Eihülle. Damit nehmen sie Darmsymbionten auf. Es gibt 4 Stadien. Sie entwickeln bereits am Anfang ihrer Entwicklung ein Gespinst innerhalb der Nahrung und verpuppen sich später dort. Das Puppenstadium dauert 2 bis 3 Wochen.
Die Lebensdauer der Käfer beträgt 18 Monate.
Moderkäfer
Erkennungsmerkmale:
Der Moderkäfer hat eine Länge von 0,8 bis 3 mm. Er ist meist braun bis schwarz gefärbt. Das Halsschild ist bei den meisten Gattungen fast quadratisch, teilweise herzförmig und schmaler als die Deckflügel. Die Flügeldecken sind mit deutlichen, meist tief gefurchten Längsrippen gekennzeichnet. Der Kopf ist hinter den Augen halsartig eingeschnürt.
Lebensweise:
Die Käfer leben in der Regel im Freien und dringen nur zufällig in gebäude ein, wo sie sich bei hoher Luftfeuchtigkeit auf verschimmelten Oberflächen halten können. In noch nicht genügend ausgetrockneten Neubauten kann es zu einer starken Entwicklung verschiedener Moder- und Schimmelkäferarten kommen.
Fortpflanzung:
Die Ablage der bohnenförmigen, höchstens 0,5 mm langen Eier findet im Nahrungssubstrat statt. Die Generationsdauer vom Ei bis zum Imago dauert bei 20 Grad ca. einen Monat. (Larvalentwicklung bis zu 20 Tage; Puppenstadium 3 bis 4 Tage).
Berlinkäfer
Erkennungsmerkmale:
Der Berlinkäfer ist langoval und hat eine Körperlänge von 2,2 bis 3,5 mm. Der Kopf ist mit zusätzlichen Stirnaugen versehen. Seine Färbung ist dunkelbraun und auf den Flügeldecken sind 3 zickzackförmige Querbinden mit heller Behaarung zu sehen. Das Halsschild ist hell behaart.
Die Eilarven sind spindelförmig mit einer bräunlichen Behaarung. Am Hinterende befinden sich einige Schlepphaare. Ausgewachsen sind die Larven hellbraun und 7 mm lang. Neben der normalen Behaarung finden sich am Hinterende dunklere Pfeilhaarpolster sowie lange Schlepphaare.
Die Puppe liegt in der letzten Larvenhaut.
Lebensweise:
Die Einschleppung erfolgt meist durch befallene Lebensmittel und naturwissenschaftlichen Präparaten, aber auch die Einwanderung durch Flug an befallenen Lebensmitteln, ausgestopften Tieren und Wolltextilien ist möglich.
Die Käfer ernähren sich von trockenen Vorräten pflanzlichen und tierischen Ursprungs, Textilien aus Naturwolle, toten Insekten und naturwissenschaftlichen Präparaten.
Fortpflanzung:
Die Eiablage erfolgt am Nahrungssubtrat. Die Larvenentwicklung findet bei Temperaturen von 15 bis 36 Grad und einer relativen Luftfeuchte von bis zu 20% statt. Die Entwicklungsdauer liegt bei 2 bis 3 Monaten, bei niedrigen Temperaturen bei bis zu 2 Jahren. Die Verpuppung erfolgt in der letzten Larvenhaut.
Die Lebensdauer der Käfer liegt bei 32 Grad bei ca. 8 Tagen, bei 15 Grad bei 27 Tagen und bei 4 bis 7 Grad liegt sie bei 6 Monaten. Meist sind 2 Generationen, bei hohen Temperaturen sogar 3 Generationen pro Jahr möglich.
Australischer Teppichkäfer
Erkennungsmerkmale:
Der australische Teppichkäfer ist oval und 2,2 bis 2,5 mm lang. Die Ober- und Untterseite ist mittel- bis dunkelbraun. Das Halsschild hat eine punktförmige weiße Behaarung. Der Kopf ist unter dem Halsschild verborgen. Es sind zwei Stirnaugen vorhanden. Er hat 11-glierdrige kurze Fühler mit abgesetzter Keule, Aus drei großen Gliedern bestehend. Die Fühlerkeule ist so lang wie die ersten 8 Glieder zusammen. Auf den Flügeldecken befinden sich 3 wellenförmig verlaufende Querbinden aus weißlicher anliegender Behaarung. Der Flügelvorderrand ist weiß und sie sind flugfähig.
Die Larven sind länglich, hellbraun, behaart und bis zu 7 mm lang.
Lebensweise:
Der Käfer verursacht Schäden an trockenen Nahrungsmitteln, keratinhaltigen Materialien sowie an Tierpräparaten und in Insektensammlungen. Der Käfer wird häufig auf Fensterbänken gesichtet. Die Larven leben versteckt in Nahrungssubtraten hinter Möbeln, losen Tapeten und Fußleisten. Die Entwicklung ist nur in zentral beheizten Räumen möglich. Die Verbreitung erfolgt vor allem durch Lebensmittel und Verpackungsmaterialien. Die Haare der Larven können bei empfindlichen Personen zu allergischen Reaktionen der Haut und der Atmungsorgane führen. Ein Befall kann anhand der Larvenhäute erkannt werden.
Fortpflanzung:
Eine Larvenentwicklung ist auch in sehr trockener Umgebung möglich. Die Anzahl der Häutungen schwankt und ist nahrungs- sowie temperaturabhängig. Die Entwicklungsdauer an trockenen, toten Insekten dauert ca. 1 Jahr, an Naturwolle länger. Die Verpuppung erfolgt meist in der aufgeplatzten Haut des letzten Larvenstadiums.
Wollkrautblütenkäfer
Erkennungsmerkmale:
Der Wollkrautblütenkäfer ist rundoval und hat eine Körperlänge von 1,8 bis 3,2 mm. Der Kopf wird durch die Vorderbrust verdeckt. Er hat Punktaugen auf der Stirn. Er besitzt 11-gliedrige Antennen mit 3-gliedriger Keule. Die Flügeldecken sind abgerundet. Er hat eine schwarze Färbung, auf der Vorderbrust und den Flügeldecken sind Muster aus gelben und weißen schuppenförmigen Haaren. Die Körperunterseite ist mit hellgrauen Schuppen versehen. Er ist ein guter Flieger.
Die Larven sind gedrungen, dunkelbraun und 4 bis 5 mm lang. Sie sind mit braunen Haaren besetzt. Seitlich an den abdominalen Segmenten und am Hinterende befinden sich Büschel aus spitzen Pfeilhaaren.
Lebensweise:
Sie leben außerhalb von Gebäuden in Bienen-, Wespen-, Vogel-, oder Kleinsäugernestern. Innerhalb von Gebäuden befinden sie sich meist in der Nähe einer Nahrungsquelle. An Pelzen und Borsten werden meist nur die Haarspitzen abgenagt, dass unregelmäßige Oberflächen zurückbleiben.
Die Käfer ernähren sich von Blütenpollen.
Die Larven ernähren sich von trockenen und organischen Substanzen wie Naturwolle, Teppichen, Pelzen und Fellen, Federn sowie von pflanzlichen Materialien wie Mais und Getreideprodukten.
Fortpflanzung:
Die Eilarven können wandern und aktiv Nahrungsressourcen aufsuchen. Die Larven benötigen 7 bis 11 Monate zur Entwicklung, unter ungünstigen Bedingungen wie niedriger Temperatur und Luftfeuchtigkeit sowie unzureichendem Nahrungsangebot bis doppelt so lange.
Die Larven verpuppen sich in der letzten Larvenhaut.
Die Generationsdauer beträgt unter günstigen Bedingungen 8 bis 12 Monate, unter ungünstigen bis zu 3 Jahre.

Wir von Puschmann Schädlingsbekämpfung sorgen für schnelle Abhilfe bei einem Befall von Materialschädlingen. Unsere Schädlingsexperten sind rund um die Uhr für Sie zu erreichen und bieten auch einen professionellen Notdienst, wenn es mal schnell gehen muss. Wenden Sie sich gerne telefonisch an die 089/72458331 .







