
Arten der Vorratsschädlinge
Erbsenkäfer
Erkennungsmerkmale:
Der Erbsenkäfer wird 4 bis 5 mm lang. Er besitzt einen kurzen, gedrungenen ovalen Körper. Die Körperoberseite ist hellbraun behaart. Der verhältnismäßig lange Kopf ist schnauzenförmig verlängert und die Augen ziemlich groß. Auf dem weiß-behaarten Hinterleibsende fallen zwei große, schwarze Flecke auf.
Die Larven sind weißlich gefärbt und besitzen eine dunkel gefärbte Kopfkapsel
.
Lebensweise:
Der Erbsenkäfer ist flugfähig und fliegt immer zum Licht. Es kann zu einer massiven Vermehrung in Vorratsgütern in Lagern, Maschinentoträumen und Fertigwaren kommen. Er kann das Lager aber auch verlassen und Feldfrüchte befallen. Er befällt Erbsenkulturen im Freiland, ist an gelagerten Erbsen allerdings nicht vermehrungsfähig.
Er ernährt sich von Hülsenfrüchten wie Bohnen, Erbsen und Linsen. Die Adulte nehmen keine Nahrung mehr zu sich.
Fortpflanzung:
Die Weibchen legen bis zu 85 Eier zwischen geernteten oder gelagerten Bohnen ab. Die Eilarve ernährt sich von den Samen. Es können sich bis zu 20 Larven pro Bohne entwickeln. Die Gesamtentwicklung mit 4 Larvenstadien dauert bei 20 Grad etwa 2,5 bis 3 Monate. Unter einer Temperatur von 12 Grad, kann keine Entwicklung stattfinden. Die Lebensdauer beträgt bei Zimmertemperatur etwa 2 bis 3 Wochen, bei kälteren Temperaturen sind es einige Monate.

Erdnussplattkäfer
Erkennungsmerkmale:
Der Erdnussplattkäfer hat einen 3 bis 4 mm langen Körper welcher stark abgeflacht ist. Der Kopf und das Halsschild sind dunkel gefärbt, die Flügeldecken erscheinen leicht rötlich. Auf beiden Seiten des Halsschildes befinden sich jeweils sechs etwa gleich große und spitze Zähnchen. An den Kopfseiten fällt eine zahnförmige Struktur auf.
Lebensweise:
Der Erdnussplattkäfer ist begrenzt flugfähig. Durch seinen flachen Körperbau und die geringe Größe fällt es ihm leicht in Verpackungen und Maschinenanlagen einzudringen. Er ist empfindlich gegen Trockenheit und Frost.
Er wird oft als Sekundärschädling zusammen mit anderen Vorratsschädlingen ausgefunden.
Die Larven ernähren sich von Getreide, Getreideprodukten und Samen.
Der Käfer bevorzugt ölhaltige Produkte wie Erdnüsse, Nüsse, Mandeln, Kakao sowie die daraus entstehenden Fertigwaren. Aber auch Getreide und Gewürze zählen zu seiner Nahrung.
Fortpflanzung:
Die Lebensdauer der adulten Stadien beträgt 1 bis 3 Jahre. Die Weibchen legen 200 bis 300 Eier ab. Die Gesamtentwicklung dauert unter optimalen Bedingungen 3 bis 4 Wochen. Es ist eine Massenvermehrung des Erdnussplattkäfers in Getreide möglich.

Getreideplattkäfer
Erkennungsmerkmale:
Der Getreideplattkäfer ist 2,2 bis 3,3 mm groß. Er ist schmal und weist einen abgeflachten Habitus auf. Er ist graubraun gefärbt. Auf beiden Seiten des Halsschilds befinden sich jeweils sechs etwa gleich große und spitze Zähnchen.
Lebensweise:
Der Erdnussplattkäfer ist begrenzt flugfähig. Durch seinen flachen Körperbau und die geringe Größe fällt es ihm leicht in Verpackungen und Maschinenanlagen einzudringen. Er ist empfindlich gegen Trockenheit und Frost.
Er wird oft als Sekundärschädling zusammen mit anderen Vorratsschädlingen ausgefunden.
Die Larven ernähren sich von Getreide, Getreideprodukten und Samen.
Der Käfer bevorzugt kohlenhydratreiche Produkte, wie Getreide und deren Erzeugnisse, aber auch ölhaltige Lebensmittel wie Nüsse, Mandeln und Kakao.
Fortpflanzung:
Die Lebensdauer der adulten Stadien beträgt 1 bis 3 Jahre. Die Weibchen legen 200 bis 300 Eier ab. Die Gesamtentwicklung dauert unter optimalen Bedingungen 3 bis 4 Wochen. Es ist eine Massenvermehrung des Erdnussplattkäfers in Getreide möglich.

Khaprakäfer
Erkennungsmerkmale:
Der Khaprakäfer gehört zur Familie der Speckkäfer und erreicht eine Größe von bis zu 3mm. Er ist dicht behaart. Die Flügeldecken von sind einfarbig rostbraun oder weisen häufig rostbraune bis braune Flecken auf. Der Kopf und das Halsschild sind oft dunkler bis fast schwarz. Die Antennen bestehen aus neun bis elf Segmenten.
Lebensweise:
Die adulten Stadien brauchen keine oder wenn nur eine geringe Nahrungsaufnahme. Die Lebensdauer liegt bei ca. einer Woche.
Die Larven suchen die Nähe zu ihren Artgenossen und drängen sich in Gruppen zusammen.
Sie überstehen tiefe und höhere Temperaturen und lange Hungerperioden.
Sie ernähren sich von Getreideprodukten und anderen Produkten tierischer und pflanzlicher Herkunft wie Haferflocken, Dörrobst, Sojabohnen, Kokosnüssen und Milchpulver. Aber auch tote Insekten werden als Nahrung angenommen.
Fortpflanzung:
Sie entwicklen sich bei Temperaturen über 20 Grad. Die Eiablage findet auch bei sehr trockenen Bedingungen statt, allerdings nicht unter 20% relativer Luftfeuchte.
Die Larvenentwicklung findet auch bei extrem niedriger Luftfeuchte statt. Eine Massenvermehrung kann bei einer Temperatur ab 21 Grad erfolgen, die Optimaltemperatur liegt bei bei 30 Grad.
Das Weibchen legt zwischen 30 und 80 Eier.
Die Entwicklung der Larven erfolgt in Abhängigkeit der Nahrungsgrundlage innerhalb von 1 bis 3 Monaten. Die Diapause kann bis zu 4 Jahre stattfinden.

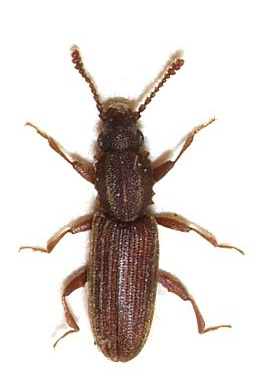
Kornkäfer
Erkennungsmerkmale:
Der Kornkäfer gehört zur der Familie der Rüsselkäfer und hat einen rüsselförmig verlängerten Kopf. Die Körpergröße liegt zwischen 3,8 und 5,1 mm und hängt von Temperatur, Luftfeuchtigkeit und dem Brutsubstrat ab, in dem sich die Larve entwickelt hat. Die Antennen sind rechtwinklig gebogen. Der Kornkäfer ist nicht in der Lage zu fliehen. Auf den miteinander verwachsenen Flügeldecken verlaufen punktierte Längsstreifen.
Lebensweise:
Die Eier, Larven und Puppen befinden sich im Getreidekorn. Der Kornkäfer ist flugunfähig aber ein sehr guter Läufer. Er ist lichtscheu. Bei Austrocknung, ab 34% relative Luftfeuchte, wandern die Käfer ab und suchen sich einen neuen Lebensraum.
Sie ernähren sich von Getreidekörnern wie Weizen, Roggen, Hafer, Gerste, Mais, Reis, aber auch an Teigwaren.
Die Larven fressen im Korn und an verarbeiteten Produkten.
Die Käfer können im Winter und Sommer 1 bis 2 Monate ohne Nahrung überleben.
Fortpflanzung:
Die Weibchen legen ca. 200 Tage lang täglich 1 bis 2 Eier in je ein Getreidekorn. In ungeheizten Lagern sind etwa 2, in geheizten Lagern sogar bis zu 5 Generationen pro Jahr möglich.
Die Entwicklung vom Ei bis zum Käfer im Korn dauert bei 25 Grad ca. 5 Wochen. Die Lebensdauer der Käfer ist temperaturabhängig. Bei 25 Grad sind es etwa 5 Wochen, bei 10 Grad bis zu 2,5 Jahre.

Maiskäfer
Erkennungsmerkmale:
Der Maiskäfer gehört zur Familie der Rüsselkäfer. Er hat eine Körpergröße von 3mm. Auf den Flügeldecken weister vier gelbliche bis rötlich-gelbe Flecken auf. Der Maiskäfer kann fliegen.
Lebensweise:
Die Eier, Larven und Puppen befinden sich im Getreidekorn. Der Kornkäfer ist flugunfähig aber ein sehr guter Läufer. Er ist lichtscheu. Bei Austrocknung, ab 34% relative Luftfeuchte, wandern die Käfer ab und suchen sich einen neuen Lebensraum.
Sie ernähren sich von Getreidekörnern wie Weizen, Roggen, Hafer, Gerste, Mais, Reis, aber auch an Teigwaren.
Die Larven fressen im Korn und an verarbeiteten Produkten.
Die Käfer können im Winter und Sommer 1 bis 2 Monate ohne Nahrung überleben.
Fortpflanzung:
Die Weibchen legen ca. 200 Tage lang täglich 1 bis 2 Eier in je ein Getreidekorn. In ungeheizten Lagern sind etwa 2, in geheizten Lagern sogar bis zu 5 Generationen pro Jahr möglich.
Die Entwicklung vom Ei bis zum Käfer im Korn dauert bei 25 Grad ca. 5 Wochen. Die Lebensdauer der Käfer ist temperaturabhängig. Bei 25 Grad sind es etwa 5 Wochen, bei 10 Grad bis zu 2,5 Jahre.

Mehlkäfer
Erkennungsmerkmale:
Der Mehlkäfer ist 16 mm groß. Er ist glänzend, auf der Oberseite schwarzbraun und auf der Unterseite rotbraun gefärbt. Die Flügeldecken weisen punktierte Längslinien auf. Die Augen werden durch leistenartig vorspringende Seitenränder des Kopfes förmlich zerschnitten.
Die lang gestreckten Larven, die auch als Mehlwürmer bezeichnet werden, erreichen eine Länge von bis zu 3 cm.
Die Junglarven sind leicht gelblich gefärbt.
Ältere Larven nehmen eine gelb-braune Färbung an.
Lebensweise:
Der Mehlkäfer ist nachtaktiv. Er kann sehr gut fliegen. Er dringt häufig von außen in Gebäude ein und wird vom Licht angelockt. Der Käfer ist wärmeliebend, jedoch auch widerstandsfähig gegenüber geringer Temperaturen.
Er hat ein breites Nahrungsspektrum. Dazu zählen Mehl und andere Getreideprodukte sowie Produkte tierischer und pflanzlicher Art.
Fortpflanzung:
Die Gesamtentwicklung dauert unter optimalen Temperaturen, ca. 26 Grad, 5 bis 6 Monate. Die Weibchen legen bis zu 500 Eier ab. Die Verpuppung findet im Befallssubstrat statt.

Reiskäfer
Erkennungsmerkmale:
Die Mundwerkzeuge das Reiskäfers befinden sich am Vorderende des Rüssels. Der bräunlich gefärbte Reiskäfer ist in der Lage zu fliegen und weist eine langovale Körperform auf. Auf den Flügeldecken sind vier unregelmäßig geformte, orangefarbene bis rötliche Flecken. Das Halsschild weist ein Muster aus zahlreichen Punkten auf.
Je nach Brutsubstrat erreicht der Reiskäfer eine Körperlänge von 2,3 bis 3,5 mm.
Die länglichen Eier sind weiß.
Die elfenbeinfarbenen Larven sind beinlos und besitzen eine gelbliche Kopfkapsel. Sie erinnern von der Körperform her an Engerlinge. Kurz vor der Verpuppung erreichen die Larven eine Länge von ca. 2,3 mm.
Die Puppen des Reiskäfers werden bis zu 3,5 mm lang.
Lebensweise:
Die Eier, Larven und Puppen befinden sich im Getreidekorn. Der Kornkäfer ist flugunfähig aber ein sehr guter Läufer. Er ist lichtscheu. Bei Austrocknung, ab 34% relative Luftfeuchte, wandern die Käfer ab und suchen sich einen neuen Lebensraum.
Sie ernähren sich von Getreidekörnern wie Weizen, Roggen, Hafer, Gerste, Mais, Reis, aber auch an Teigwaren.
Die Larven fressen im Korn und an verarbeiteten Produkten.
Die Käfer können im Winter und Sommer 1 bis 2 Monate ohne Nahrung überleben.
Fortpflanzung:
Die Weibchen legen ca. 200 Tage lang täglich 1 bis 2 Eier in je ein Getreidekorn. In ungeheizten Lagern sind etwa 2, in geheizten Lagern sogar bis zu 5 Generationen pro Jahr möglich.
Die Entwicklung vom Ei bis zum Käfer im Korn dauert bei 25 Grad ca. 5 Wochen. Die Lebensdauer der Käfer ist temperaturabhängig. Bei 25 Grad sind es etwa 5 Wochen, bei 10 Grad bis zu 2,5 Jahre.

Rotbrauner Leistenkopfplattkäfer
Erkennungsmerkmale:
Der rotbraune Leistenkopfplattkäfer hat eine Körperlänge von 1,6 bis 2,2 mm. Er hat Linien an den Seitenrändern des Halsschilds.
Die Larven sind gelblich weiß und bis zu 4 mm lang. Der Kopf und das Hinterleibsende sind bräunlich gefärbt und das Endsegment hat zwei hakenförmige Fortsätze. Das letzte Stadium besitzt Spinndrüsen, deren Ausgänge auf der Bauchseite des ersten Brustsegmentes liegen.
Lebensweise:
Die Käfer halten sich an bereits befallenem Getreide auf, unbeschädigte Körner werden nicht angegriffen.
Junge Larven befallen bei Getreidekörnern den Keimling. Die Käfer halten sich im Inneren der Getreideschüttungen, vor allem in Bereichen mit erhöhter Temperatur und Feuchtigkeit auf und kommen kaum an die Oberfläche.
Sie ernähren sich von Getreide und Getreideprodukten wie Mehl, ölhaltigen Samen, Trockenfrüchten und Gewürzen.
Fortpflanzung:
Das Weibchen legt zwischen 200 bis 500 Eier lose zwischen dem Nahrungssubstrat ab. Die Verpuppung findet im Kokon im Korn statt. Die Käfer und Larven vertragen Temperaturen unter 0 Grad.
Die Entwicklungsdauer liegt bei 3 bis 4 Wochen.

Rotbrauner Reismehlkäfer
Erkennungsmerkmale:
Der rotbraune Reismehlkäfer erreicht eine Länge von 2,3 bis 4,4 mm. Er ist schmal, parallelseitig und die Flügeldecken sind mit punktierten Längslinien versehen. Die Färbung des Käfers ist rotbraun. Er besitzt Antennen mit einer 3-gliedrigen Keule. Er ist ein guter Flieger.
Die Eilarven werden ca. 1,1 mm lang, erwachsene Larven erreichen eine Länge von ca. 8 mm. Sie sind gestreckt, zylinderisch und auf dem Rücken gewölbt. Der Kopf sowie alle Rückenplatten sind kurz gelb behaart. Am Hinterende befinden sich 2 nach hinten und oben gerichtete Dornen.
Die Puppen sind weißlich bis gelb-braun und liegen frei im Substrat.
Lebensweise:
Der Schädling wird meist durch Importe aus Afrika, Südamerika und Australien eingeschleppt. Im warmen Großmühlen kann er sich halten. Die Larven verwerten nur beschädigte Getreidekörner bzw. durch Kornkäfer oder Getreidekapuzinerkäfer befallenes Lagergut.
Sie ernähren sich von Bruchgetreide oder Getreide, das bereits von anderen Schädlingen beschädigt wurde, bzw. deren Kornhülle die aufgrund von Feuchtigkeit geplatzt ist und Risse aufweist.
Befallen werden auch Pressrückstände aus der Ölgewinnung, ölhaltige Samen wie Erdnüsse, Sonnenblumenkerne, Kakaobohnen und Trockenobst.
Fortpflanzung:
Die Eiablage findet lose im Brutsubstrat statt. Die Larven entwickeln sich noch bei 20 Grad, die Puppen sterben ab dieser Temperatur jedoch ab. Die Lebensdauer der Käfer beträgt 7 bis 8 Monate, bei niedrigen Temperaturen bis zu einem Jahr.

Wir von Puschmann Schädlingsbekämpfung sorgen für schnelle Abhilfe bei einem Befall von Vorratsschädlingen. Unsere Schädlingsexperten sind rund um die Uhr für Sie zu erreichen und bieten auch einen professionellen Notdienst, wenn es mal schnell gehen muss. Wenden Sie sich gerne telefonisch an die 089/72458331 oder schreiben Sie uns per WhatsApp unter der Nummer: 015752620122.







